by cwalker | Nov 26, 2019 | Uncategorized
The employer’s self-service portal will simplify the process of making contribution payments On October 7th of this year, the National Insurance Board (NIB) celebrated 45 years of social security administration in The Bahamas. Throughout its history, the Board has...
by cwalker | Nov 20, 2019 | Uncategorized
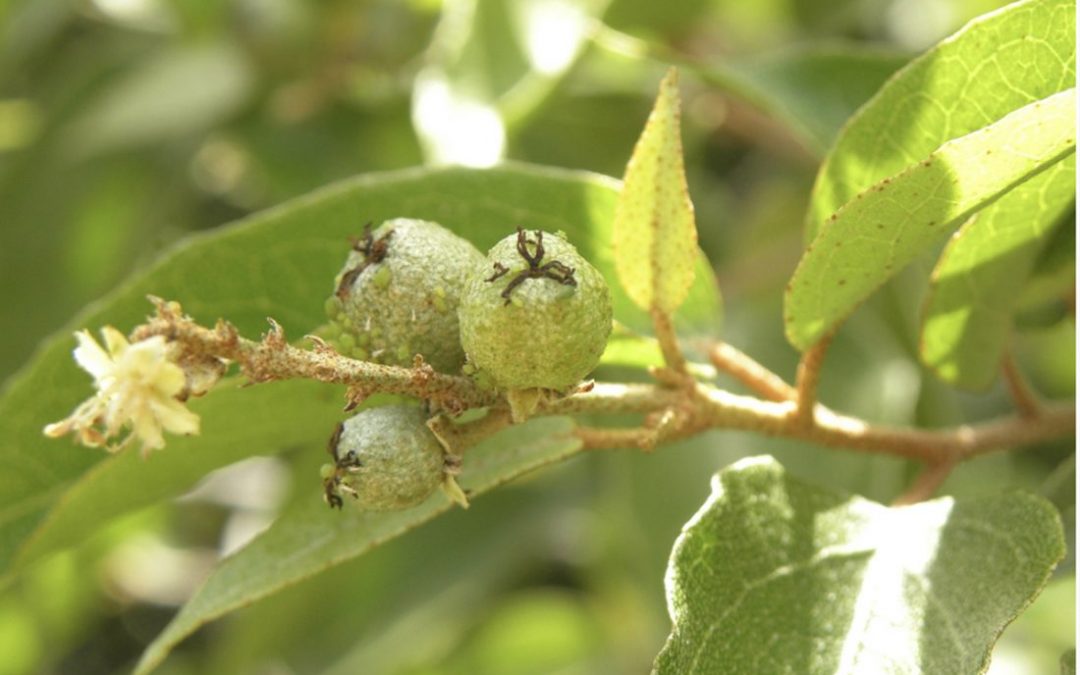
Government wants to broaden economic growth on the Family Islands The Bahamas is moving at full steam to create a cascarilla-based industry on Acklins, according to Parliamentary Secretary in the Ministry of Agriculture and Marine Resources Carlton Bowleg. The...
by cwalker | Nov 13, 2019 | Uncategorized
Nation seeks to make inroads into the fast-growing digital economy Legislation to regulate the financial technology (Fintech) and cryptocurrency space is being redrafted and will be released for a second consultation round before year-end, it was revealed yesterday....
by cwalker | Nov 6, 2019 | Uncategorized
80 percent of fisheries infrastructure in Abaco and Grand Bahama has been significantly damaged The Bahamas’ lobster and fisheries industry – a sector worth $75m – has been severely set back by Hurricane Dorian, and United Nations assessors say it could...